Opinion:
¶ “Attacks on Greta Thunberg, Say Allies, Show Just How ‘Terrified’ Reactionary Forces Have Become of Global Climate Movement” • As champions of Greta Thunberg hit back against malicious right-wing bullies, she said, “When haters go after your looks and differences, it means they have nowhere left to go. And then you know you’re winning!” [Common Dreams]
Science and Technology:
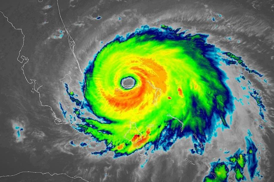
¶ “Climate Scientists Say Climate Change Will Lead To More Powerful Storms, And Hurricane Dorian Proves They’re Right” • Climate scientists have warned for over a decade that climate change will lead to more powerful storms, more often, and farther north. Hurricane Dorian is the most power ever, for the Atlantic outside the Caribbean. [CleanTechnica]
¶ “Why Are Hurricanes Like Dorian Stalling, and Is Global Warming Involved?” • Research shows that more North Atlantic hurricanes have been stalling as Dorian did, leading to more extreme rainfall. Their average forward speed has also decreased by 17% from 1944 to 2017, according to a study published by scientists at NASA and NOAA. [InsideClimate News]
¶ “Decarbonizing The Power Sector With Renewable Gas” • One way to help decarbonize the electric grid is through the use of hydrogen produced from renewable power resources. Excess wind and solar power are used to create hydrogen, then the renewable hydrogen is burned in gas turbines when power is needed on the grid. [POWER magazine]
¶ “Fraunhofer ISE Introduces Invisible Solar Roofs For Vehicles” • As the EV revolution progresses, it makes sense to integrate solar cells on horizontal surfaces like roofs. Now Fraunhofer ISE says it has invented a way to manufacture a solar roof for vehicles that can be any color the manufacturer wants, matching the color of the car. [CleanTechnica]
World:
¶ “472 Vehicle-To-Grid Smart Chargers Coming To The Netherlands” • After some smaller pilot V2G projects showed potential for a more stable grid and better use of renewable energy, there is now a larger experiment. A subsidy of €5 million is to be available to support 472 smart chargers at charging plazas in 21 Dutch cities. [CleanTechnica]
¶ “The Netherlands – Fossil Cars Down 20%, Electrics Up 75%” • In August, overall Dutch automobile sales were down by 16% year over year. Sales for cars powered by fossil fuels vehicles fell 20% from 39,430 to 31,430. At the same time, sales of fully electric vehicles jumped to 2,800 from 1,579 a year earlier, an increase of over 75%. [CleanTechnica]
¶ “Yeo: Malaysia Aiming For 20% Renewable Energy Use By 2025” • The government of Malaysia is seeking to increase the country’s target of renewable energy generation to 20% in the next six years, according to Energy, Science, Technology, Environment and Climate Change Minister Yeo Bee Yin. The plan is to be launched this month. [Malay Mail]
¶ “Scotland Launches Offshore Hub” • The offshore renewables industry and public sector on Scotland’s east coast are working closely together to expand and increase growth of the regional supply chain. The Forth and Tay cluster, consisting of a group of councils and businesses, will host an number of offshore wind projects and initiatives. [reNEWS]
¶ “Report Warns Japan That Era Of Nuclear Decommissioning Looms” • Japanese policy-makers adopted a report saying the country is entering an era of massive decommissioning of nuclear plants. Japan’s Atomic Energy Commission urged plant operators to plan ahead to lower safety risks and costs for the massive work ahead. [Energy Voice]
¶ “Vestas On Double Time For OX2 In Finland” • Vestas is to supply turbines to two wind farms totaling 60 MW in Finland for OX2 projects backed by Infracapital. Kropuln and Storbacken will be built on a merchant basis and feature V150-4.2MW turbines delivered in power optimised mode. Commissioning expected in 2021. [reNEWS]
US:
¶ “The Hellish Future Of Las Vegas In The Climate Crisis: ‘A Place Where We Never Go Outside'” • Temperatures in Las Vegas have risen 5.76°F since 1970. A Union of Concerned Scientists report warns that without global action to reduce CO₂ emissions, the city will likely see 96 days of heat above 100°F annually by the end of the century. [The Guardian]
¶ “PV Peaker Plant A Model For Solar-Plus-Storage Projects” • Pairing solar energy with batteries lets utilities store excess power when the sun is shining but demand is low, and use it after the sun sets. One innovative project on the Hawaiian island of Kaua‘i is doing that and more, tapping into several other benefits in the process. [POWER magazine]
¶ “A Renewable Benefit: Texas Extends Tax Abatement Program” • Texas Gov Greg Abbott (R) signed into law a bill that extends the state’s Chapter 312 property tax abatement program until September 1, 2029. Tax incentives available in Texas make it one of the friendliest states in the country for renewable energy development. [POWER magazine]
¶ “Geothermal Key Element In 50% Renewable Energy Target In The State Of Nevada” • At a recent monthly meeting at the Northern Nevada Development Authority, Doug Cannon, CEO of NV Energy said that the utility is on track to reach 50% renewables ahead of schedule. The utility will use geothermal energy to supply baseload power. [ThinkGeoEnergy]
Have a magically worthwhile day.







